North 22 1/2 Street N, McAllen, TX

$411,060

Previous Next

24,180

Square feet

0.56

Acres

About North 22 1/2 Street N

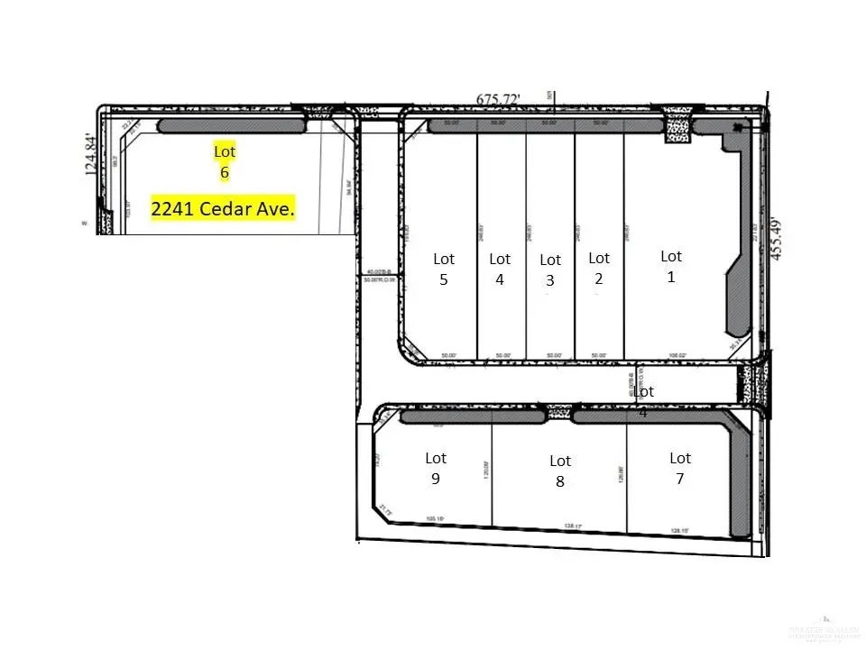
Discover the ultimate commercial opportunity at North 22 1/2 Street, McAllen, TX! This specific corner lot #6, spanning 0.55 acres (24,180 sq ft), offers unmatched potential for warehouse development. Fully developed and improved with sewer, water, and electricity, these lots are ready for you to bring your project to life and start building. With 9 lots available in various sizes, seize the chance to build your ideal warehouse and capitalize on the booming demand in this thriving business hub. Perfectly situated with easy access to major transportation routes and surrounded by a flurry of commercial activity, these lots present an irresistible investment opportunity. Don't miss your chance to be part of McAllen's dynamic landscape – seize this opportunity now and unlock the door to limitless possibilities!

Features of North 22 1/2 Street N

MLS® # 427925
Price $411,060
Square Footage 24,180
Acres 0.56
Type Land
Sub-Type Commercial
Status Active

Community Information

Address North 22 1/2 Street N
Subdivision Gosmar
City McAllen
County Hidalgo
State TX
Zip Code 78501

Amenities

Utilities City Garbage, Water Connected, Sewer Connected
Is Waterfront No
Has Pool No

Interior

Fireplace No
Has Basement No

Exterior

Lot Description Irregular Lot

School Information

District McAllen ISD
Elementary Wilson
Middle Travis
High McAllen H.S.

Additional Information

Date Listed March 15th, 2024
Zoning C3
Foreclosure No
Short Sale No

Listing Details

AgentLeslie J. De Leon
OfficeAbolengo Properties LLC
Contact Info956-328-6967

Listing Map

Request a Showing

Provide a valid email address.
When would you like to view this property?